Cicindis horni
Cicindis horni | ||||||||||||||||||
|---|---|---|---|---|---|---|---|---|---|---|---|---|---|---|---|---|---|---|
![]() | ||||||||||||||||||
| Научная классификация | ||||||||||||||||||
|
||||||||||||||||||
| Латинское название | ||||||||||||||||||
| Cicindis horni Bruch, 1908[1] | ||||||||||||||||||
|
|
Cicindis horni (лат.) — вид плавающих хищных жужелиц подсемейства Cicindinae. Единственный вид рода Cicindis Bruch, 1908. Встречается в Аргентине.[2]
Распространение
Аргентина, северо-запад провинции Кордова (Салинас-Грандес).[3]
Описание
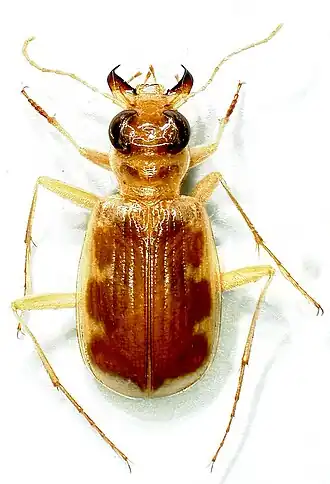
Встречаются на побережьях соленых озёр. Выделяются среди всех представителей семейства Жужелицы, своей уникальной способностью плавать на поверхности воды и погружаться в глубь в поисках добычи (предположительно, жертвами этих жуков являются мелкие планктонные жаброногие рачки рода Thamnocephalus). Сумеречный вид: днём прячутся в прибрежных норках или иных укрытиях, а на охоту выходят в тёмное время суток. Имаго обнаруживаются с декабря по март; копулирующие пары наблюдались в марте (на водной поверхности и на влажном грунте побережий). Приспособлением к плаванию служат многочисленные щетинки и сеты на нижней поверхности тела и на ногах.[4]
Длина блестящего тела около 1 см. Окраска желтоватая. Глаза крупные выпуклые, занимают всю боковую часть головы. Наибольший диаметр фасеточных глаз в 1,5 раз больше ширины лабрума. Усики 11-и члениковые. Вертекс слегка вогнутый, лоб без продольных морщинок. Клипеус уже расстояния между основаниями усиков. Мандибулы саблевидные, крупные, загнутые с одним апикальным зубцом. Ноги длинные и тонкие. Самки слегка крупнее самцов. Крылья полностью развиты и наблюдался один экземпляр, летящий на свет лампы.[3]
Систематика
Ранее, вид Cicindis horni вместе с близким видом Archaeocindis johnbeckeri (Bänninger, 1927) (Иран) рассматривались в качестве членов трибы Cicindini или надтрибы Cicinditae, которые теперь имеют статус подсемейства Cicindinae.
- Род Cicindis Bruch, 1908
- Cicindis horni Bruch, 1908
Примечания
- ↑ Bruch, C. Eine neue Carabidendengattung aus Argentinien. Cicindis horni (Col.) // Deutsche Entomologische Zeitschrift. — 1908. — С. 497-500.
- ↑ Крыжановский О. Л. Жуки подотряда Adephaga. Семейства Rhysodidae, Trachypachydae; семейство Carabidae (вводная часть и обзор фауны СССР) // Фауна СССР. Насекомые жесткокрылые. — Л.: Наука, 1983. — Т. 1, вып. 2. — С. 134. — 341 с. — (Новая серия № 128).
- 1 2 Kavanaugh, D. H. & Erwin, T. L. The tribe Cicindini Bänninger (Coleoptera: Carabidae): Comparative morphology, natural history, and reclassification // Proceeding of the Entomological Society of Washington. — 1991. — Т. 93, № 2. — С. 356—389.
- ↑ Horn’s Fairy Shrimp Hunting Beetle Архивная копия от 22 марта 2012 на Wayback Machine (англ.) (Дата обращения: 3 июня 2011)
Литература
- Erwin, T. L.; Aschero, V. Cicindis horni Bruch (Coleoptera: Carabidae, Cicindini): the Fairy Shrimp Hunting Beetle, its way of life on the Salinas Grandes of Argentina // Zootaxa. — 2004. — Т. 553. — С. 1-16.
Ссылки
- tolweb.org Cicindis horni
