Утайники

Утайники
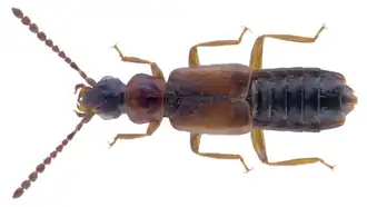
Ochthephilus aureus
Ochthephilus aureus
Научная классификация
Царство:
Подцарство:
Без ранга:
Без ранга:
Без ранга:
Надкласс:
Инфракласс:
Надотряд:
Надсемейство:
Семейство:
Подсемейство:
Род:
Утайники
Международное научное название
Ochthephilus Mulsant & Rey, 1856
Синонимы
  • Ancyrophorus Kraatz, 1857
  • Misancyrus Gozis, 1886
  • Ochthephilinus Eichelbaum, 1915
  • Psilotrichus Luze, 1904
  • Stictancyrus Scheerpeltz, 1950
Типовой вид
Ochthephilus flexuosus Mulsant & Rey, 1856
Логотип Викивидов
Систематика
в Викивидах
Логотип Викисклада
Изображения
на Викискладе
ITIS  691000
NCBI  1336293
EOL  104090

Утайники[1] (лат. Ochthephilus) — род жуков-стафилинид из подсемейства Oxytelinae (триба Thinobiini).

Распространение

Ochthephilus — это голарктический род с наибольшим разнообразием в Средиземноморье и Гималаях, а также в горах южного Китая. Большинство видов встречается в горных или предгорных районах, некоторые — в низинах. Некоторые мельчайшие виды, ранее населявшие равнинные реки с преимущественно песчаными берегами могут подвергаться угрозе исчезновения. По оценке, предполагаемое количество видов может возрасти до 70-80, и большинство ещё не описанных видов ожидается из Гималаев и горного Китая. Однако уничтожение лесов и эксплуатация проточных вод в этих последних районах подвергают опасности места обитания и могут помешать обнаружению оставшихся видов[2].

Описание

Мелкие жуки, длина тела от 2,0 до 5,3 мм. Крылья развиты. Основная окраска тела от темно-коричневого до чёрного, но некоторые виды, по крайней мере, частично красноватые или светлые, бледно-коричневато-желтоватые. Тело несколько вдавленное, от умеренно густого до густо опушенного, щетинки у большинства видов расположены равномерно и имеют увеличенный размер. Виски обычно умеренно развиты, не различаются между полами (макроцефалия отсутствует). Голова обычно меньше и менее широкая, чем переднеспинка, последняя слегка или умеренно поперечная, задние углы хорошо сформированы, тупоугольные, но иногда почти прямоугольные. Надкрылья параллельносторонние (лишь немного расширяются кзади), плечи обычно хорошо развиты. Брюшные сегменты умеренно блестящие, с микроскульптурой и рассеянной пунктировкой, не слишком заметной, лишь у некоторых видов с более длинными щетинками на тергитах[2].

Род Ochthephilus отличается по характерному «якоревидному» гребню на переднеспинке — у большинства видов хорошо сформированному, у небольшого меньшинства частичному. Конечный членик максиллярных щупиков довольно большой и удлиненный, с асимметрично вздутым основанием, над вздутой стороной лежат нитевидные сенсорные структуры. По внешне похожей скульптуре переднеспинки сходны с некоторыми видами Thinodromus, но они либо встречаются в Южной Америке, либо их брюшко более сильно сужено кзади, лапки короче (три базальных членика сжаты); иное строение у VIII тергита Thinodromus, как и концевого членика максиллярных щупиков[2].

Биология

И личинки, и взрослые особи очень влаголюбивы и требуют влажных мест обитания, будь то песчаные или гравийные берега рек и ручьёв (но всегда проточная вода) или промокший мох на камнях. Некоторые виды факультативно пещерные. Относительно часто в пещерах встречается O. aureus, но иногда встречаются и другие виды (O. angustatus, O. brachypterus, O. tatricus). Насколько предполагается в настоящее время, они питаются водорослями или различными другими мелкими частицами пресноводного растительного материала. О жизненном цикле Ochthephilus почти ничего не известно. За исключением O. aureus, который чаще всего находили в пещерах и собирали круглый год, большинство образцов было получено в период с весны по осенние месяцы, а пик сборов на больших высотах пришёлся на середину лета. Летающие к свету особи довольно редко регистрируются, хотя у всех есть развитые крылья и они способны летать. Отчасти это может быть связано с тем, что большинство световых ловушек не размещают вблизи ручьёв, а также с тем, что особи не летают на большие расстояния. С другой стороны, несколько экземпляров были собраны автомобильными сетями, что указывает на то, что они часто летают. Хорошим примером разнообразных местообитаний, где могут быть найдены взрослые особи Ochthephilus, является O. brachypterus, описанный из пещеры, собранный во мхах (Высокие Татры, 1600 м), гравийном берегу горного ручья (Retezat Mts., 1600 м), но и зарегистрированы с автомобильных сетей (Kärnten). Почти то же самое можно сказать об O. tatricus и, возможно, о ряде других. Впервые личинки были упомянуты Ганглбауэром (Ganglbauer, 1895), затем предварительно атрибутированный экземпляр был включен в определитель родов Касуле (Kasule, 1968). Надлежащее описание личинок O. aureus было опубликовано Bourne (1975), а личинки того же вида были снова описаны Bruge (2007) без ссылки на более раннее описание. Защитная железа была упомянута в Dettner (1987)[2].

Классификация

Известно около 60 видов. Род был впервые выделен в 1856 году французскими энтомологами Этьеном Мюльсаном (1797—1880) и Клаудиусом Реем (1817—1895)[3] с первоначально единственным видом Ochthephilus flexuosus Mulsant & Rey, 1856 (типовым видом по монотипии). Хотя род Ochthephilus предположительно является древней группой внутри Oxytelinae, пока не известны ни окаменелости, ни субфоссилии[2][4].

  • Ochthephilus andalusiacus (Fagel, 1957)
  • Ochthephilus angustatus (Erichson, 1840)
  • Ochthephilus angustior (Bernhauer, 1943)
  • Ochthephilus ashei Makranczy, 2014
  • Ochthephilus assingi Makranczy, 2014
  • Ochthephilus aureus (Fauvel, 1871)
  • Ochthephilus biimpressus (Mäklin, 1852)
  • Ochthephilus brachypterus Jeannel & Jarrige, 1949
  • Ochthephilus californicus Makranczy, 2014
  • Ochthephilus carnicus (Scheerpeltz, 1950)
  • Ochthephilus columbiensis (Hatch, 1957)
  • Ochthephilus corsicus (Fagel, 1956)
  • Ochthephilus davidi Makranczy, 2014
  • Ochthephilus emarginatus (Fauvel, 1871)
  • Ochthephilus enigmaticus Makranczy, 2014
  • Ochthephilus filum (Fauvel, 1875)
  • Ochthephilus forticornis (Hochhuth, 1860)
  • Ochthephilus gusarovi Makranczy, 2014
  • Ochthephilus hammondi Makranczy, 2014
  • Ochthephilus incognitus Makranczy, 2014
  • Ochthephilus indicus Makranczy, 2014
  • Ochthephilus itoi Makranczy, 2014
  • Ochthephilus jailensis (Scheerpeltz, 1950)
  • Ochthephilus kirschenblatti Makranczy, 2014
  • Ochthephilus kleebergi Makranczy, 2014
  • Ochthephilus legrosi (Jarrige, 1949)
  • Ochthephilus loebli Makranczy, 2014
  • Ochthephilus masatakai Watanabe, 2007
  • Ochthephilus mediterraneus (Scheerpeltz, 1950)
  • Ochthephilus merkli Makranczy, 2014
  • Ochthephilus omalinus (Erichson, 1840)
  • Ochthephilus planus (LeConte, 1861)
  • Ochthephilus praepositus Mulsant & Rey, 1878
  • Ochthephilus qingyianus Makranczy, 2014
  • Ochthephilus ritae Makranczy, 2014
  • Ochthephilus rosenhaueri Kiesenwetter, 1850
  • Ochthephilus ruteri (Jarrige, 1949)
  • Ochthephilus scheerpeltzi (Fagel, 1951)
  • Ochthephilus schuelkei Makranczy, 2014
  • Ochthephilus strandi (Scheerpeltz, 1950)
  • Ochthephilus szarukani Makranczy, 2014
  • Ochthephilus szeli Makranczy, 2014
  • Ochthephilus tatricus (Smetana, 1967)
  • Ochthephilus tibetanus Makranczy, 2014
  • Ochthephilus tichomirovae Makranczy, 2014
  • Ochthephilus uhligi Makranczy, 2014
  • Ochthephilus venustulus (Rosenhauer, 1856)
  • Ochthephilus wrasei Makranczy, 2014
  • Ochthephilus wunderlei Makranczy, 2014
  • Ochthephilus zerchei Makranczy, 2014

Примечания

  1. Мамаев Б. М. Определитель насекомых по личинкам. М.: Просвещение, 1972. — С. 128. — 400 с.
  2. 1 2 3 4 5 Makranczy G. 2014. Revision of the genus Ochthephilus Mulsant & Rey, 1856 (Coleoptera: Staphylinidae, Oxytelinae). Revue suisse de zoologie 121(4): 457—694. BHL Архивная копия от 17 февраля 2022 на Wayback Machine.
  3. Mulsant, E. & Rey C. 1856: Constitution d’un genre nouveau détaché du genre Trogophloeus (famille des brachélytres). Annales de la Société Linnéenne de Lyon (2)3: 1-4. BHL Архивная копия от 17 февраля 2022 на Wayback Machine
  4. Makranczy G. 2006. Systematics and phylogenetic relationships of the genera in the Carpelimus group (Coleoptera: Staphylinidae: Oxytelinae). Annales historico-naturales Musei nationalis hungarici 98: 29-120. (PDF Архивная копия от 14 июля 2020 на Wayback Machine). [description, diversity & distribution: p. 57]

Литература

  • Herman L. H. 1986. Revision of Bledius. Part IV. Classification of species groups, phylogeny, natural history, and catalogue (Coleoptera, Staphylinidae, Oxytelinae). Bull. Amer. Mus. Nat. Hist., 184 (1), 368 p.