Джон (ураган, 1994)
| Ураган / тайфун «Джон» | |
|---|---|
| Тайфун (JMA) | |
| Ураган 5 категории (SSHS) | |
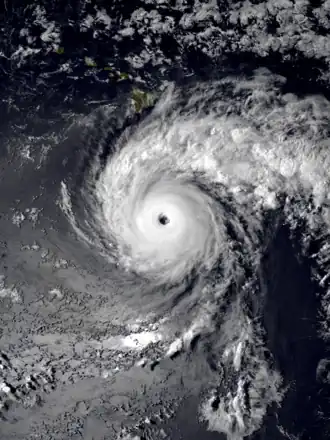
![]() Ураган «Джон» в момент максимальной интенсивности южнее Гавайских островов 23 августа |
|
| Сформировался | 11 августа 1994 |
| Распался | 10 сентября 1994 |
| Максимальный ветер |
155 км/ч (100 миль/ч) (10 минут постоянно) 280 км/ч (175 миль/ч) (1 минута постоянно) |
| Нижнее давление | ≤929 гПа (мбар) |
| Погибших | нет |
| Ущерб | $15 млн (1994 USD) |
| Область распространения | |
| Гавайские острова, атолл Джонстон | |
Ураган «Джон» (англ. Hurricane John) или тайфун «Джон» (англ. Typhoon John, международное обозначение: 9420, обозначение JTWC: 10E) — тропический циклон, сформировавшийся в 1994 году и ставший самым долгоживущим тропическим циклоном, а также тропическим циклоном, который прошёл наибольшее расстояние за время своей жизни за всю историю наблюдений. Этот тропический циклон сформировался во время сильной осцилляции Эль-Ниньо 1991—1994 годов и достиг 5 категории по шкале Саффира — Симпсона.
Путь этого тропического циклона составил 13 280 км и протянулся с востока Тихого океана до запада Тихого океана, и был пройден за 31 день[1]. Поскольку Джон существовал в двух бассейнах, он является одним из немногих тропических циклонов, которые называются как ураганом, так и тайфуном. За долгое время своей жизни Джон практически не встретил суши, оказав лишь незначительной эффект на Гавайские острова и атолл Джонстон.
Примечания
- ↑ Lawrence, Miles. Hurricane John Preliminary Report (page 1). NOAA (1995). Дата обращения: 22 мая 2006. Архивировано 23 сентября 2012 года.
