Балтимор-Вашингтон
| Международный аэропорт Балтимор-Вашингтон имени Тэргуда Маршалла[1] | |||||||||||||||||||
|---|---|---|---|---|---|---|---|---|---|---|---|---|---|---|---|---|---|---|---|
| англ. Baltimore/Washington International Thurgood Marshall Airport | |||||||||||||||||||
| |||||||||||||||||||
| ИАТА: BWI – ИКАО: KBWI[2] | |||||||||||||||||||
| Информация | |||||||||||||||||||
| Вид аэропорта | международный аэропорт, аэропорт и коммерческий аэродром | ||||||||||||||||||
| Страна |
|
||||||||||||||||||
| Расположение | округ Энн-Эрандел | ||||||||||||||||||
| Дата открытия | 24 июня 1950[3] | ||||||||||||||||||
| Владелец | Maryland Aviation Administration[4][5] | ||||||||||||||||||
| Оператор | Maryland Aviation Administration[4][5][…] | ||||||||||||||||||
| Высота НУМ | 45 м и 44 м | ||||||||||||||||||
| Площадь |
|
||||||||||||||||||
| Время работы | круглосуточно | ||||||||||||||||||
| Сайт | Официальный сайт | ||||||||||||||||||
| Карта | |||||||||||||||||||
![]() |
|||||||||||||||||||
| Взлётно-посадочные полосы | |||||||||||||||||||
|
|||||||||||||||||||
| Статистика | |||||||||||||||||||
| Годовой пассажиропоток | ▲ 23,823,532 человек (2015) | ||||||||||||||||||

Международный аэропорт Балтимор-Вашингтон[7], также известный как BWI (ИАТА: BWI, ИКАО: KBWI, FAA LID: BWI), — гражданский аэропорт, обслуживающий коммерческие авиаперевозки населённого района конгломерата городов Балтимор и Вашингтон. Порт носит официальное название в честь уроженца Балтимора, первого афроамериканца — судьи Верховного суда Соединённых Штатов Америки Тэргуда Маршалла.
Аэропорт находится в северной части территории округа Энн-Эрандел (штат Мэриленд) в 16 километрах к югу от Балтимора и в 48 километрах к северо-востоку от города Вашингтон (округ Колумбия)[8]. В 2008 году услугами аэропорта воспользовалось почти 20,49 миллионов человек, что на 2,6 % меньше по сравнению с предыдущим годом. По показателю пассажирооборота в год аэропорт вышел на 24-е место среди коммерческих воздушных гаваней Северной Америки[9], а по показателю количество взлётов и посадок воздушных судов в год — на 49-е место среди всех аэропортов мира[10].
В 2010 году Балтимор-Вашингтон назван наилучшим гражданским аэропортом мира в классе обслуживания от 15 до 25 млн пассажиров в год по версии Международного Совета аэропортов[11].
Международный аэропорт Балтимор-Вашингтон является вторичным транзитным узлом авиаперевозок (хабом) бюджетной авиакомпании США AirTran Airways и одним из основных пунктов назначения крупнейшего мирового дискаунтера Southwest Airlines.
История
После окончания Второй мировой войны по заказу властей городов Балтимор и Вашингтон был разработан проект строительства гражданского аэропорта для обеспечения воздушного сообщения густонаселённого района с другими районами страны. В 1947 году в северной части округа Энн-Эрандел был выкуплен участок площадью 13 км², на территории которого был снесен храм баптистской церкви дружбы[12]. Работы по строительству аэропорта завершились в мае 1950 года, а 24 июня того же года президент США Гарри Трумэн официально открыл сданный в эксплуатацию Международный аэропорт Дружба, первые коммерческие рейсы из которого начались в середине следующего месяца. В 1957 году аэропорт был сертифицирован под обслуживание реактивных самолётов Boeing 707[13].
В 1972 году Международный аэропорт Дружба был приобретён за 36 миллионов долларов США властями штата Мэриленд в лице Департамента транспорта штата, в составе которого было создано Управление гражданской авиации штата Мэриленд. В течение следующих нескольких лет число сотрудников аэропорта выросло с трёх человек до двухсот и практически сразу после приобретения главой транспортного департамента штата (впоследствии — его губернатором) Гарри Хьюзом было обнародован масштабный генеральный план по обновлению, расширению и модернизации объектов инфраструктуры всех аэропортов штата Мэриленд[14].
В 1973 году аэропорт сменил своё название на Международный аэропорт Балтимор-Вашингтон[14], данный шаг был предпринят в качестве одного из этапов маркетинговой программы привлечения пассажиров туристических направлений и регулярных рейсов в Вашингтон. Прежний код ИАТА «BAL» аэропорта сохранялся вплоть до 1982 года, поскольку код «BWI» в данном периоде был закреплён за другим коммерческим аэропортом.
Первая фаза плана модернизации и реконструкции аэропорта обошлась в 30 миллионов долларов США и завершилась в середине 1974 года. В рамках первого этапа были построены три новых грузовых терминала общей площадью 2,53 гектар и введена в действие курсо-глиссадная система захода самолётов на посадку по приборам. Второй этап обновления аэропортового комплекса включал в себя наиболее масштабные работы по реконструкции и модернизации инфраструктуры и был завершён в 1979 года. В рамках данного этапа площадь пассажирского терминала аэропорта увеличилась более чем вдвое и достигла 14,58 гектар, количество выходов на посадку (гейтов) достигло 27 единиц против первоначальных 20[14]. Стоимость работ по второго этапу составила 70 миллионов долларов США в ценах 1979 года[14]. В дальнейшем, для продолжения модернизации аэропортовой инфраструктуры был создан Совет по поддержке инициатив в развитии аэропорта[14].
В 1980 году в аэропорту открылся железнодорожный вокзал «BWI», с помощью которой пассажиры получили доступ к самой загруженной железнодорожной ветке США — так называемому Северо-Восточному Коридору. С открытием вокзала Международный аэропорт Балтимор-Вашингтон стал первым аэропортом Соединённых Штатов, имеющим доступ к железнодорожной магистрали с междугородними маршрутами[15]. В частности, пассажиры без пересадок могут доехать до Вашингтона в отличие отсутствия подобного сервиса, например, в Международном аэропорту Вашингтон Даллес. В конце 1990-х годов введёно в эксплуатацию новое здание международного терминала (конкорс E). Несмотря на все нововведения львиную долю международных перевозок в регионе продолжает занимать второй вашингтонский аэропорт имени Даллеса, хотя объём пассажирооборота и количество регулярных рейсов из Международного аэропорта Балтимор/Вашингтон стабильно растут из года в год. Старожилами аэропорта на международных направлениях считаются британская национальная авиакомпания British Airways и ныне несуществующая флагманская авиакомпания Ямайки Air Jamaica. В порту на регулярных международных направлениях в разные периоды работали зарубежные компании Aer Lingus, Air Aruba, Air Greenland, El Al, Ghana Airways, Icelandair, KLM и Mexicana.
В 1990-х годах Международный аэропорт Балтимор-Вашингтон являлся одним из главных концентратором для магистральной авиакомпании US Airways, однако финансовые трудности перевозчика и последовавший кризис в отрасли пассажирских перевозок после событий 11 сентября 2001 года заставили US Airways свернуть большинство регулярных маршрутов из данного аэропорта. В сентябре 1993 году в BWI крупнейшая бюджетная авиакомпания Southwest Airlines, последовательно из года в год укрупнявшая собственную маршрутную сеть в аэропорту, пока не стала в настоящее время крупнейшим оператором пассажирских перевозок аэропорта BWI[9]. В 2008 году на долю Southwest Airlines пришлось 51,9 % всех перевезённых пассажиров Международного аэропорта Балтимор-Вашингтон, авиакомпания AirTran Airways перевезла 13,98 % всех пассажиров, Delta Air Lines — 7,12 %, US Airways — 6,48 % и United Airlines — 5,74 % от всего объёма пассажирооборота аэропорта за год[9][16][17].
В соответствии с растущими потребностями компании Southwest Airlines в 2005 году были проведены работы по существенному расширению Конкорсов A и B, их модернизации и соединению друг с другом системой переходов. Новая структура была сдана в эксплуатацию 22 мая 2005 года и в настоящее время используется только авиакомпанией Southwest Airlines. 1 октября того же года аэропорт сменил своё официальное название на Международный аэропорт Балтимор-Вашингтон имени Тэргуда Маршалла в честь уроженца Балтимора, первого афроамериканца — судьи Верховного суда США[18].
Международный аэропорт Балтимор-Вашингтон использовался в съёмках известных фильмов «Молчание ягнят», «Голдфингер», «Телевизионные новости» и «12 обезьян».
Пассажирские терминалы
Международный аэропорт Балтимор-Вашингтон имени Тэргуда Маршалла работает в пяти конкорсах, два из которых в 2005 году фактически объединены в один большой терминал:
- Конкорсы A/B;
- Конкорс C;
- Конкорс D и
- Конкорс E, в котором обслуживаются все международные рейсы, пассажиры которых не прошли предварительный таможенный досмотр в аэропортах вылета.
Конкорс E также носит второе официальное название «Международный терминал имени губернатора Уильяма Дональда Шефера».
Авиакомпании и пункты назначения




| Авиакомпания | Пункты назначения | Конкорс |
|---|---|---|
| Air Canada Jazz | Торонто (Пирсон) | E |
| AirTran Airways | Атланта, Бостон, Канкун, Шарлотт, Даллас/Форт-Уэрт (сезонный), Дейтон, Форт-Лодердейл, Форт-Майерс, Гранд-Рапидс, Хантсвилл, Индианаполис, Джэксонвилл, Лос-Анджелес, Майами, Милуоки, Монтего-Бей, Нассау, Новый Орлеан, Орландо, Портленд, Рочестер (Нью-Йорк), Сан-Антонио (сезонный), Сан-Хуан, Сарасота/Брейдентон, Сиэтл/Такома (сезонный), Тампа, Уэст-Палм-Бич | D |
| American Airlines | Даллас/Форт-Уэрт, Майами, Сан-Хуан | C |
| American Eagle | Чикаго (О'Хара), Нью-Йорк (Джона Кеннеди) | C |
| British Airways | Лондон (Хитроу) | E |
| Cape Air | Хейгерстаун, Ланкастер | D |
| Caribbean Airlines | Монтего-Бей | E [19] |
| Continental Airlines | Хьюстон (Интерконтинентал) | D |
| Continental Express выполняет Chautauqua Airlines | Кливленд | D |
| Continental Express выполняет ExpressJet Airlines | Кливленд, Ньюарк (Либерти) | D |
| Delta Air Lines | Атланта, Детройт, Мемфис, Миннеаполис/Сент-Пол, Солт-Лейк-Сити | C |
| Delta Connection выполняет Chautauqua Airlines | Цинциннати/Северный Кентукки, Нью-Йорк (Джона Кеннеди) | C |
| Delta Connection выполняет Comair | Нью-Йорк (Джона Кеннеди) | C |
| Delta Connection выполняет Compass Airlines | Миннеаполис/Сент-Пол | C |
| Delta Connection выполняет Freedom Airlines | Цинциннати/Северный Кентукки | C |
| Delta Connection выполняет Mesaba Airlines | Мемфис | C |
| JetBlue Airways | Бостон | C |
| Locair | Бекли (Западная Виргиния) | здание авиации общего назначения |
| Pet Airways | Фармингдейл (Нью-Йорк) | здание авиации общего назначения |
| Southwest Airlines | Олбани (Нью-Йорк), Альбукерке, Остин, Бирмингем (Алабама), Бостон, Буффало, Чикаго (Мидуэй), Кливленд, Колумбус (Огайо), Денвер, Детройт, Форт-Лодердейл, Форт-Майерс, Хартфорд/Спрингфилд, Хьюстон (Гобби), Индианаполис, Джексон, Джэксонвилл, Канзас-Сити, Лас-Вегас, Литтл-Рок, Лонг-Айленд/Айслип, Лос-Анджелес (сезонный), Луисвилл, Манчестер (Нью-Гэмпшир), Милуоки, Нашвилл, Новый Орлеан, Нью-Йорк (Ла Гардиа), Норфолк, Оклахома-Сити, Орландо, Панама-Сити (Флорида), Финикс, Питтсбург, Провиденс, Роли/Дарем, Сент-Луис, Солт-Лейк-Сити, Сан-Антонио, Сан-Диего, Сиэтл/Такома (сезонный), Тампа, Уэст-Палм-Бич | A/B |
| United Airlines | Чикаго (О'Хара), Денвер, Лос-Анджелес, Сан-Франциско | D |
| USA3000 Airlines | Бердмуды, Канкун, Пунта Кана - все сезонные рейсы | E |
| US Airways | Шарлотт, Филадельфия, Финикс | D |
| US Airways Express выполняет Air Wisconsin | Филадельфия | D |
| US Airways Express выполняет Chautauqua Airlines | Филадельфия | D |
| US Airways Express выполняет Piedmont Airlines | Нью-Йорк (Ла Гардиа), Филадельфия | D |
| US Airways Express выполняет PSA Airlines | Шарлотт, Филадельфия | D |
| US Airways Express выполняет Republic Airways | Шарлотт, Филадельфия | D |
Залы повышенной комфортности
- Авиакомпания British Airways содержит в Конкорсе E собственный зал повышенной комфортности, который расположен у входа в здание конкорса. Сервисом зала также могут воспользоваться пассажиры других авиакомпаний, работающих на международных направлениях;
- общественная организация United Service Organizations содержит зал повышенной комфортности в переходе между зданиями конкорсов D и E. Сервисом зала USO пользуются американские военнослужащие и члены их семей.
Операционная деятельность
В период с 31 декабря 2007 по 31 декабря 2008 года Международный аэропорт Балтимор-Вашингтон обработал 277 622 операции по взлётам и посадкам воздушных судов (в среднем 761 операция ежедневно), из них 90 % пришлось на регулярные коммерческие рейсы, 10 % составили рейсы авиации общего назначения и менее одного процента заняли рейсы военной авиации. В указанный период в аэропорту базировалось 86 воздушных судов, из которых 58 — одномоторные самолёты, 16 — многомоторные и 12 — реактивные лайнеры[1].
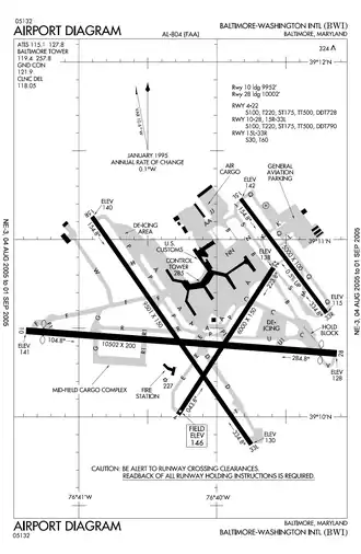
Учитывая почти постоянные направления ветров с севера или запада взлёт самолётов производится в основном с взлётно-посадочной полосы 33L, а посадка — на взлётно-посадочную полосу 28. При изменении направления ветров с юга или востока для посадок лайнеров используется полоса 10, а для их взлёта — взлётно-посадочная полоса 15R. Короткая ВПП 33R/15L применяется для обслуживания небольших турбовинтовых самолётов. На взлётно-посадочную полосу 4/22 запрещена посадка воздушных судов, сама полоса используется для взлётов самолётов и для руления на другие ВПП[1].
Примечания
- 1 2 3 Данные базы аэропортов ФАИ BWI (Form 5010 PDF), retrieved 2009-11-25
- ↑ https://www.faa.gov/airports/airport_safety/airportdata_5010/
- ↑ https://www.bwiairport.com/flying-with-us/about-bwi/bwi-timeline
- 1 2 http://www.marylandaviation.com/
- 1 2 https://www.bwiairport.com/flying-with-us/about-bwi/about-mdot-maa
- ↑ https://www.bwiairport.com/flying-with-us/about-bwi/facts-figures
- ↑ Вашингтон : [арх. 21 октября 2022] / С. Г. Павлюк, А. Н. Шукурова // Большой Кавказ — Великий канал. — М. : Большая российская энциклопедия, 2006. — С. 673—675. — (Большая российская энциклопедия : [в 35 т.] / гл. ред. Ю. С. Осипов ; 2004—2017, т. 4). — ISBN 5-85270-333-8.
- ↑ «Linthicum CDP, Maryland Архивная копия от 6 июня 2011 на Wayback Machine.» Бюро переписи населения США, Retrieved on March 3, 2010.
- 1 2 3 2008 North American Final Rankings Архивировано 8 февраля 2008 года.. Airports Council International, retrieved February 17, 2010.
- ↑ Top World Airports 2008 Final Rankings Архивировано 8 февраля 2008 года.. Airports Council International, retrieved February 17, 2010.
- ↑ « Архивная копия от 28 января 2012 на Wayback Machine.» Baltimore Sun, Retrieved on April 14, 2010.
- ↑ «The church was razed to make room for Friendship Airport» Архивная копия от 22 февраля 2014 на Wayback Machine Friendship Church
- ↑ «BWI History at a Glance» Архивировано 8 декабря 2009 года. BWI Airport Timeline: 1950-59, retrieved 2009-11-16
- 1 2 3 4 5 «BWI History at a Glance» Архивировано 8 декабря 2009 года. BWI Airport Timeline: 1970-79, retrieved 2009-11-17
- ↑ «BWI History at a Glance» Архивировано 8 декабря 2009 года. BWI Airport Timeline: 1980-89, retrieved 2009-11-17
- ↑ Southwest Airlines’ Top Ten Airports. Southwest Airlines. Дата обращения: 10 сентября 2009. Архивировано 26 апреля 2012 года.
- ↑ Formichelli, Linda. «Magazine picks America’s healthiest airports Архивная копия от 16 декабря 2008 на Wayback Machine.» CNN. Wednesday December 17, 2008. Retrieved on October 21, 2009.
- ↑ «BWI History at a Glance» Архивировано 8 декабря 2009 года. BWI Airport Timeline: 2005, retrieved 2009-11-17
- ↑ South Florida Caribbean News (недоступная ссылка)
Ссылки
- Baltimore/Washington International Thurgood Marshall Airport
- BWI Business Partnership
- BWI Development Council Архивная копия от 27 сентября 2011 на Wayback Machine
- Карта Аэропорта ФАИ(PDF), состояние на 28 августа 2008

