Альпийская мягкотелка
| Альпийская мягкотелка | ||||||||||
|---|---|---|---|---|---|---|---|---|---|---|
| ||||||||||
| Научная классификация | ||||||||||
|
Домен: Царство: Подцарство: Без ранга: Без ранга: Без ранга: Без ранга: Тип: Подтип: Надкласс: Класс: Подкласс: Инфракласс: Надотряд: Отряд: Подотряд: Инфраотряд: Надсемейство: Семейство: Подсемейство: Триба: Podabrini Род: Podabrus Подрод: Podabrus Вид: Альпийская мягкотелка |
||||||||||
| Международное научное название | ||||||||||
| Podabrus alpinus (Paykull, 1798) | ||||||||||
| Синонимы | ||||||||||
|
||||||||||
| Вариететы | ||||||||||
|
||||||||||
| ||||||||||
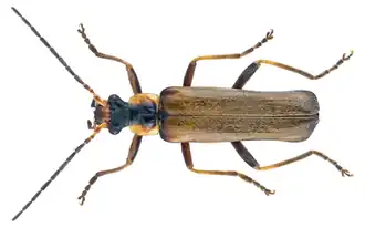
Альпийская мягкотелка[2] (лат. Podabrus alpinus) — вид жесткокрылых насекомых из семейства мягкотелок.
Описание
Обитают в смешанных лесистых местностях, особенно в тех, где преобладает ель[3]. Длина тела имаго 11—14 мм[3][4][5]. Жуки буро-жёлтые, их темя, щиток и переднеспинка чёрные; широкие бока переднеспинки жёлтые, надкрылья иногда бывают чёрными; иногда жуки полностью чёрные, лишь передняя часть головы и бока переднеспинки жёлтые; иногда — полностью красные, голова и переднеспинка светлые, а надкрылья чёрные с красным впереди боковым краем[4].
Распространение
Распространён в северной и центральной частях европейской России, в Западной и Восточной Сибири, Белоруссии, Эстонии, Латвии, Литве, на Украине, в Западной Европе и Монголии[6].
Примечания
- ↑ Систематика и синонимия (англ.). BioLib. Дата обращения: 21 августа 2011. Архивировано 30 декабря 2019 года.
- ↑ Горбунов П. Ю., Ольшванг В. Н. Жуки Среднего Урала: Справочник-определитель. — Екатеринбург: Сократ, 2008. — С. 163. — 384 с.
- 1 2 Podabrus alpinus (Paykull, 1796) (англ.). thewcg.org.uk. Дата обращения: 21 августа 2011. Архивировано 25 августа 2012 года.
- 1 2 Якобсон Г. Г. Определитель жуков : [арх. 9 мая 2009] / дополнено Д. А. Оглоблином // Практическая энтомология / под ред. проф. Н. Н. Богданова-Катькова. — М.; Л. : Государственное издательство сельскохозяйственной и колхозно-кооперативной литературы, 1931. — Вып. VII. — 454 с. — 10 175 экз.
- ↑ Family Cantharidae Архивная копия от 9 мая 2016 на Wayback Machine (англ.)
- ↑ Казанцев С. В. A Checklist of Cantharidae (Coleoptera) of the ex-USSR. Список Cantharidae (Coleoptera) бывшего СССР (англ.) // Russian Entomological Jornal. — 2004. — Vol. 13, no. 1—2. — P. 23—34. Архивировано 15 декабря 2018 года.
_(24502647273).png)